Previous Next
Record 539/5355

Next
Image 1 of 4

Description 
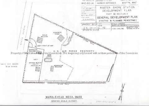
Several photo copies of papers about the observation towers on Marblehead Neck in WWII. A) 1 Photo and 2 pages of drawings and specifications about a house on the Neck used for quarters and observation. B) 3 Photos and 2 pages of drawings and specifications of a 5 floor observation tower and radar tower. C) 1 page of a plot plan of the land used for the observation tower. D) 1 page chart of the coast from Boston to Cape Ann showing an arch of a range of 31,300 yards from Marblehead Neck. E) 1 page of news clippings concerning the men involved in the project. F) 6 pages of orders transferring the units involved in the project from the Boston Area to Ft. Hood, Texas on 11 March 1944. G) 1 page personal letter to Dear Ed from Jerry Butler of 12 Colby, Nahant, Ma 01908 received 31 July 2001
Harbor Defenses of Boston, Mass- Marblehead Neck, Marblehead, Mass -Archives Catalog -Copyright Marblehead Historical Commission
Image
Plot plan Lookout Tower on Nec

COPYRIGHT INFORMATION ~ Contact the Marblehead Historical Commission for rights to use this image.

Rev. 2.0 2/2013 Contact the Historical Commission at 781-639-3425 or e-mail us (please include the "Object ID" number, not the Record Number)     historic@marblehead.org
Last modified on: February 22, 2013