Previous Next
Record 875/1708

Next
Image 1 of 4

Description 
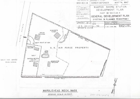
Several photo copies of papers about the observation towers on Marblehead Neck in WWII. A) 1 Photo and 2 pages of drawings and specifications about a house on the Neck used for quarters and observation. B) 3 Photos and 2 pages of drawings and specifications of a 5 floor observation tower and radar tower. C) 1 page of a plot plan of the land used for the observation tower. D) 1 page chart of the coast from Boston to Cape Ann showing an arch of a range of 31,300 yards from Marblehead Neck. E) 1 page of news clippings concerning the men involved in the project. F) 6 pages of orders transferring the units involved in the project from the Boston Area to Ft. Hood, Texas on 11 March 1944. G) 1 page personal letter to Dear Ed from Jerry Butler of 12 Colby, Nahant, Ma 01908 received 31 July 2001
Harbor Defenses of Boston, Mass- Marblehead Neck, Marblehead, Mass -Topic: People and Organizations -This image is the property of the Marblehead Historical Commission
Image
Plot plan Lookout Tower on Nec

COPYRIGHT INFORMATION ~ This image is the property of the Marblehead Historical Commission and may not be used in any form without prior permission. When using this image with permission, the credit information should be in the following format: Image courtesy of the Marblehead Historical Commission, Marblehead, MA.

Rev. 1.0a 1/2009 Contact the Historical Commission at 781-639-3425 or e-mail us (please include the "Object ID" number) at:    butlerw@marblehead.org
Last modified on: January 05, 2009